| 입찰법원 | 청주/충주지원 경매4계 | 입찰보증금 | (10%) 29,477,600 | 토지 | 3791㎡ (1146.8 평) |
| 사건번호 | 2023-3687 | 감정가 | 460,588,000 | 건물 | 975㎡ (294.9 평) |
| 물건번호 | 최저입찰가 | (64%) 294,776,000 | 제시외 | ||
| 입찰일 | 2025.10.27 (월) | 청구액 | 348,494,155 | 물건용도 | 공장 |
| · 권리분석 , 예상 낙찰가 , 잔금대출, 명도 ,부실채권(NPL) 매입 상담 · 유치권, 법정지상권등 특수권리분석 상담 ☎ 02-453-7800 / 031-554-0114 |












| 감 정 평 가 내 역 | |
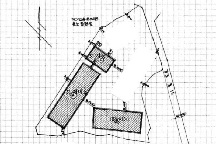
| 충북 충주시 신니면 원평리 183-1 ,183-2 외1 | |
| -새터마을남측인근 -인근소규모공장,농촌마을,농경지,임야등형성 -인근에국도(3호선)및노선버스(정)소재 -대중교통사정보통 -2필일단의부정형등고평탄지 -동측노폭3m내외도로접함 농림지역 농업보호구역(2016-06-30) 가축사육제한구역(소·말·양·염소·사슴·젖소·메추리) <183-1> -경량철골조샌드위치판넬지붕 -난방설비 -소하천예정지(선당천)(183-2번지) <183-2> -소하천예정지(선당천) |
[183-1,183-2] * 건물 공장 480㎡ (145.2평) 창고 360㎡ (108.9평) 식당 81㎡ (24.5평) 사무실,숙소 54㎡ (16.34평) 방:3 * 기타 지하수관정1식소재(인접지와경계부근에소재) 수변전설비포함 폐기물적치되어있는바확인후입찰요함 [183-1] * 공장용지 2826㎡ (854.86평) 표준공시(㎡) 40,300 결정가(㎡) 88,000 결정가(평) 290,910 [183-2] 965㎡ (291.91평) 표준공시(㎡) 40,300 결정가(㎡) 88,000 결정가(평) 290,910 ........... 토지감정 333,608,000 건물감정 124,980,000 기타 2,000,000 합계 460,588,000 보존등기 1996-05-01 |
| 임차내역 | 진행내역 |
| 김*복 사업 2014.06.03 미상 고*선 전입 2021.07.27 보증 : 5,000,000 차임 : 300,000 C동일부점유 우*머티리얼즈 사업 2022.01.20 보증 : 20,000,000 차임 : 1,250,000 환산 : 145,000,000 B동전부 송*익 사업 2022.07.22 미상 |
2025.06.02(월) 유찰 460,588,000 (100%) 2025.07.07(월) 유찰 368,470,000 (80%) 2025.08.11(월) 변경 294,776,000 (64%) 2025.10.27(월) 진행 294,776,000 (64%) |
728x90
사업자 정보 표시
나이스옥션 | 정석근 | 서울특별시 강남구 테헤란로 151 역삼하이츠 13층 1316호 | 사업자 등록번호 : 132-18-81682 | TEL : 02-453-7800 | Mail : sukgc@naver.com | 통신판매신고번호 : 호 | 사이버몰의 이용약관 바로가기
'법원별 공장 경매 물건 > 청주지법' 카테고리의 다른 글
| 2024-10985 충북 옥천군 동이면 평산리 388 ,389 외 공장경매 (0) | 2025.10.14 |
|---|---|
| 2024-3165 충북 음성군 금왕읍 신평리 30 ,29-6,31 외 공장경매 (0) | 2025.10.13 |
| 2023-3519 충북 음성군 감곡면 상우리 5-2 가동호 외 공장경매 (0) | 2025.10.13 |
| 2023-2042 충북 충주시 용두동 291-1 ,293-7 외 식품공장경매 (0) | 2025.10.13 |
| 2024-2049 충북 충주시 주덕읍 삼청리 220-11 ,228 외 공장경매 (0) | 2025.10.10 |