| 입찰법원 | 청주/본원 경매3계 | 입찰보증금 | (10%) 88,708,400 | 토지 | 6619㎡ (2002.2 평) |
| 사건번호 | 2025-2784 | 감정가 | 1,810,376,010 | 건물 | 3485.8㎡ (1054.5 평) |
| 물건번호 | 최저입찰가 | (49%) 887,084,000 | 제시외 | 1665.5㎡ (503.8 평) | |
| 입찰일 | 2025.12.03 (수) | 청구액 | 840,000,000 | 물건용도 | 공장 |
| · 권리분석 , 예상 낙찰가 , 잔금대출, 명도 ,부실채권(NPL) 매입 상담 · 유치권, 법정지상권등 특수권리분석 상담 ☎ 02-453-7800 / 031-554-0114 |







| 감 정 평 가 내 역 | |
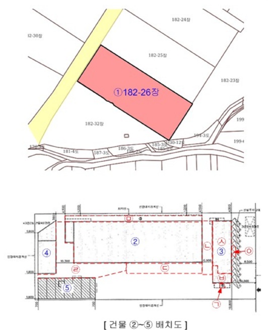
| 충북 보은군 장안면 구인리 182-26 에이동호 외3 | |
| --구인농공단지내소재 -인근공장,단독주택,농경지등혼재 -인근간선도로통해차량접근성보통 -제반교통사정보통 -세장형평지 -북서측으로약10m내외왕복2차선도로소재 -공업용지(2014-05-09)(공업용지(공장)) -중로3류(폭12m~15m)(2017-09-26)(장안농공단지)(접합) -농공단지(장안) 계획관리지역 배출시설설치제한지역 산업개발진흥지구 제2종지구단위계획구역 가축사육제한구역(2024-07-05)(일부제한구역(700m)) <182-26 에이동호> -철골구조판넬지붕 <비동호> -철골구조판넬슬래브지붕 <씨동호> -경량철골구조공장관련시설파이프위천막지붕 <디동호> -일반철골구조판넬지붕 |
[182-26 에이동호] * 공장용지 6619㎡ (2002.25평) 표준공시(㎡) 57,100 결정가(㎡) 86,000 결정가(평) 284,299 * 건물 공장 1916.11㎡ (579.62평) * 제시외 출입구 7.5㎡ (2.27평),포함 통로 192㎡ (58.08평),포함 창고,작업장 270㎡ (81.68평),포함 창고,작업장 540㎡ (163.35평),포함 작업장등 240㎡ (72.6평),포함 옥탑 계단실 95㎡ (28.74평),포함 차양 300㎡ (90.75평),포함 창고 21㎡ (6.35평),포함 태양광발전설비1식 ,제외 * 기타 수전설비1식 [비동호] * 건물 1층 사무실 231.72㎡ (70.1평) 1층 식당 165.64㎡ (50.11평) 2층 기숙사 397.36㎡ (120.2평) 지하 보일러실 94.73㎡ (28.66평) [씨동호] 창고 284.24㎡ (85.98평) [디동호] 공장 396㎡ (119.79평) .......... 토지감정 569,234,000 건물감정 995,592,010 제시외 230,550,000 기타 15,000,000 합계 1,810,376,010 |
| 임차내역 | 진행내역 |
| 조*희 사업 2021.11.18 박*용아내 미상 박*용 사업 2022.10.24 대표이사 미상 (주)와*에스씨엔씨 사업 2024.05.07 확정 2024.05.07 배당 2025.08.19 보증 : 20,000,000 차임 : 1,600,000 부가세별도 현황조사: 사업 2020.09.07 2000만/250만 A동1916㎡,B동1층131.71㎡ |
2025.09.24(수) 유찰 1,810,376,010 (100%) 2025.10.29(수) 유찰 1,267,263,000 (70%) 2025.12.03(수) 진행 887,084,000 (49%) |
728x90
사업자 정보 표시
나이스옥션 | 정석근 | 서울특별시 강남구 테헤란로 151 역삼하이츠 13층 1316호 | 사업자 등록번호 : 132-18-81682 | TEL : 02-453-7800 | Mail : sukgc@naver.com | 통신판매신고번호 : 호 | 사이버몰의 이용약관 바로가기
'법원별 공장 경매 물건 > 청주지법' 카테고리의 다른 글
| 2024-2261 충북 음성군 감곡면 문촌리 866-7 외 공장경매 (0) | 2025.11.24 |
|---|---|
| 2025-51174 충북 진천군 백곡면 사송리 478-10 공장경매 (0) | 2025.11.20 |
| 2025-1453 충북 진천군 덕산읍 합목리 372-74 ,372-75 외 공장경매 (0) | 2025.11.19 |
| 2025-51376 충북 보은군 삼승면 우진리 743 외 공장경매 (0) | 2025.11.18 |
| 2025-51192 충북 청주시 청원구 외남동 19-5 외 공장경매 (0) | 2025.11.18 |